VI TILBYDER
Artemis laver en grundig sundhedsundersøgelse af dit kæledyr, hvor dyret gennemgås fra hoved til hale. Tænder, ører, pels, poter, hjerte og lunger tjekkes, og sammen med ejeren tilpasses den årlige vaccination dyrets behov. Vi tager gerne en snak omkring dyrets adfærd, da adfærden ofte afspejler dyrets sundhedstilstand. En snak om ernæring og korrekt fodring er også en vigtig del af det årlige sundhedseftersyn.
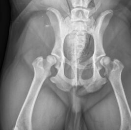
Artemis har digitalt røntgenudstyr. Dette betyder at røntgenbillederne kommer digitalt frem på en computerskærm og nemt kan viderebringes til ejer eller kollegaer. Digital røntgen har den fordel at billedkvaliteten kan opjusteres efter optagelsen, og dermed fremmes diagnosticering ud fra røntgenbillederne.
Den gode billedkvalitet er en fordel, hvis dyret er uroligt under en optagelse, da antallet af optagelser minimeres, og dyret dermed hurtigst muligt kommer ned fra røntgenbordet.
Artemis har godkendte dyrlæger til at tage røntgenbilleder af hofter og albuer til Dansk Kennel Klub (DKK). Dyrlægen skal have en særlig autorisation for at må optage disse billeder. Skal dyret fotograferes til DKK skal dyret bedøves. Bedøvelse er et krav fra Dansk Kennel Klub og er med til at sikre de mest optimale optagelser af dyrene. Se mere hos www.dansk-kennel-klub.dk.
Artemis har særlig udstyr til at tage digitale røntgenbilleder af tandsættet. Røntgenbilleder af tænderne er et vigtig redskab i diagnosticeringen af tandproblemer hos kæledyrene og kan være med til at bestemme en behandling og ikke mindst de fremadrettede forebyggende tiltag til sikring af den bedste sundheden for munden.

Artemis råder over et veludstyret laboratorium og tilbyder en lang række ”in house” ydelser.
Vi laver totale organscreeninger, hvor man får et overblik over dyrets vitale parametre som f.eks. lever- og nyreværdier, proteintal, blodprocent, elektrolytter og infektionsindikatorer. En organscreening kan være relevant, hvis dyret skal opereres, for at sikre at bedøvelsen målrettes det enkeltes dyr behov.
En blodprøve kan være aktuel, hvis dyret viser symptomer som f.eks. øget drikkelyst eller mangel på appetit. Udviser et kæledyr anderledes adfærd, men symptomerne er svære at beskrive, kan en blodprøve også have sin berettigelse.
Er dyret akut sygt eller meget dårlig, kan det være livreddende at kunne måle blodværdierne på stedet, så rette behandling kan igangsættes øjeblikkeligt. I en akutsituation kan blodsvarene foreligge inden for 20 minutter. Vi tilbyder en række specielle test, hvis dyret er under mistanke eller i behandling for forskellige hormonelle lidelser. Vi kan lave målinger af cortisol i blodet, der har betydning ved f.eks. Addisons og Cushings sygdom. Vi kan også måle stofskiftehormon, der produceres i skjoldbruskkirtlen, der er afgørende for stofskifterelaterede sygdomme. Læs mere om stofskiftesygdom her! Artemis råder over en række test til diagnosticering af katteaids, katteleukæmi og parvovirus hos hund. Artemis udfører urinanalyser til diagnosticering af f.eks. blærebetændelse.
Vi er udstyret med mikroskop, således vi kan undersøge f.eks. prøver fra et inficeret øre eller vævsprøver og dermed komme diagnoserne nærmere.
Artemis tilbyder undersøgelse for hjerte- og lungeorm. Denne prøve forudsætter, at ejer afleverer tre afføringsprøver fra hunden opsamlet tre dage i træk. Svaret på undersøgelsen foreligger dagen efter.
Artemis tilbyder operationer som f.eks. kastration, sterilisation og fjernelse af tumores. Vi tilbyder desuden knæoperationer som f.eks. operation af et overrevent korsbånd eller en løs knæskal. Læs mere – klik her.
Vi laver desuden en række specialoperationer som f.eks. forkortelse af den bløde gange hos kortsnuede hunderacer, fjernelse af hudfolder, næseudvidelse mv., hvis dette har betydning for dyrets sundhed. Læs om ganeoperationer her! Laserbehandling
Artemis tilbyder laserbehandling. Tidligere var laserbehandling ikke så virksomt, idet de lasere vi havde mulighed for at købe ikke havde den rette styrke. Vi har en K-laser fra firmaet Eickemeyer. Den er programmeret til dyr, og kan indstilles til den sygdomstilstand, man ønsker at behandle. Laserterapi gør brug af bestemte bølgelængder af lys, der bl.a. øger blodcirkulationen til et område, som dermed øger ilttilførslen og cellernes sundhed.
Vi har set gode resultater med kronisk øregangsbetændelse, mundbetændelse både på katte og hunde, rygsmerter og hoftesmerter hos de ældre hunde, kronisk inficerede sår og meget mere.
Få en snak med dyrlægerne om laserbehandling; måske er der en mulighed for hjælp. Det er væsentligt at nævne, at laserbehandling er fuldstændig smertefrit for dit dyr.
Vi tilbyder kikkertundersøgelser af dit kæledyr. Ved brug af dette udstyr, kan vi se ind i dyret og udtage prøver fra væv uden brug af kirurgi.
Vi har forskelligt udstyr afhængigt af, hvilken del af dyret, vi ønsker at undersøge.
Vi har en kikkert specielt til mavetarmkanalen. Ved at bruge denne, kan vi se hunden ned i maven og den første del af tarmen. Denne undersøgelse laves ofte, hvis en hund har ondt i maven og har kastet op gennem længere tid. Udstyret kan også bruges til at fjerne små fremmedlegemer fra maven som for eksempel en sten eller synål, hvorved dyret undgår en stor operation.
Vi har kikkerter specielt til luftvejene. Vi kan derved undersøge en hund eller kat, der f.eks. nyser meget, har snot fra et enkelt næsebor, eller der er mistanke om, at der kommet et græsstrå op i næsehulen.
Vi kan også se et dyr ned i luftrøret med en kikkert for at se, om luftrøret ser normalt ud. Særligt kortnæsede hunderacer har tendens til at have et forsnævret luftrør, hvilket kan diagnosticeres sikkert på denne måde.
På Artemis tilbyder vi en grundig undersøgelse af hunde, der har tilbagevende øregangsbetændelse.
Sygdommen har ofte mange årsager, der skal kortlægges, men et led i diagnostikken kan være at få lavet en grundig undersøgelse af selve ørekanalen. Vi har en speciel øretragt med kikkertfunktion, der kan komme meget langt ned i øret og tage billeder af øregang og trommehinde. Udstyret har desuden en funktion, der gør, at øret kan skylles ud og renses under indgrebet.

Kløe og andre hudproblemer kan have sin oprindelse i allergi. Vi tilbyder en grundig allergiudredning, hvor alle aspekter drages ind i sygdommen. Der findes i dag en lang række behandlingsmuligheder som f.eks. foderkorrektion, hyposensibilisering og medicinsk behandling for allergi. I nogle tilfælde kan en holistisk behandling af allergi være en mulighed.
Mopser, franske bulldogs og engelske bulldogs er eksempler på kortsnudede hunde, der i dag er meget populære kæledyr, da de har et dejligt temperament.
Hundene kaldes for kortsnudede, idet næsen er avlet flad. Det gør, at der er mindre plads inde i kraniet til de bløde strukturer af luftvejene.
På grund af hovedets udformning, fungerer hundens vejrtrækning ofte meget dårligt.
Artemis tilbyder en grundig gennemgang af hundenes anatomi og fysiologi, så ejer har det bedste udgangspunkt for at passe den kortsnudede hund. Er hunden meget påvirket af sin vejrtrækning, tilbyder Artemis operation af hunden, således at vejrtrækningen kan forbedres (link til artikel om brachycephale hunde).